CryptoNick 2

Система безопасности с ИИ приняла пакет чипсов за оружие в школе

Искусственный интеллект продолжает проникать в различные сферы жизни, однако инцидент в одной из школ Балтимора показал, насколько опасными могут быть ошибки автоматизированных систем безопасности. 20 октября несколько полицейских машин прибыли к старшей школе в округе...
Cohen 0

Сотрудник Meta создал ИИ-приложение, которое генерирует фейковый отпуск мечты

Дизайнер Лоран Дель Рей запустил приложение Endless Summer, которое за несколько долларов создает поддельные фотографии пользователей на экзотических курортах. Сервис позволяет получить от 30 до 300 изображений, где вы якобы отдыхаете в разных уголках мира...
CryptoNick 0

Девушка-козочка и юноша-пес в трейларах новых персонажей Zenless Zone Zero

HoYoverse порадовала фанатов двумя новыми роликами, посвященными новым персонажам экшен-RPG Zenless Zone Zero. Первый тизер рассказывает о повседневной жизни Komano Manato, а второй представляет музыкальный эпизод с участием Lucia под названием "DAMIDAMI". В тизере "The...
Cohen 1

Opera запросила $20 в месяц за AI-браузер с агентной автоматизацией

Opera запустила ИИ-браузер Opera Neon, который обойдется в $19,90 в месяц для пользователей, которые активно работают с ИИ. Норвежская компания впервые анонсировала Neon в мае, а теперь открыла доступ ограниченному числу пользователей. Согласно описанию Opera,...
Cohen 48

Геймер создал концепт игры о Сталине в стиле Red Dead Redemption 2 с помощью ИИ Veo-3

Пользователь YouTube под ником GORM THE OLD использовал ИИ-модель Google Veo-3 для создания видео в стиле экшен-адвенчуры, посвященного жизни Иосифа Сталина. Экспериментальный ролик демонстрирует как возможности современных ИИ-инструментов, так и их ограничения при работе с...
Cohen 1

Моддер добавил ИИ в Animal Crossing и превратил жителей острова в современных сплетников

Программист Джош Фонсека решил провести необычный эксперимент, заменив весь диалог в Animal Crossing для GameCube на реплики, генерируемые искусственным интеллектом. Результатом стала игра, где милые антропоморфные жители обсуждают современные политические события и строят заговоры против...
Cohen 0

ИИ-чатбот Claude получил возможности создания и редактирования таблиц Excel и других документов

Anthropic представила обновление для своего ИИ-чатбота Claude, добавив функциональность создания и редактирования файлов. Начиная с сегодняшнего дня пользователи чат-бота могут работать с Excel-таблицами, документами, презентациями PowerPoint и PDF-файлами напрямую через интерфейс чата. Ранее Claude предлагал...
Cohen 27

Миллениалы стали новыми викторианцами в эпоху второго позолоченного века

Ютуберша и социальный комментатор Магдален Роуз выпустила любопытное видео, в котором провела детальные параллели между викторианской эпохой XIX века и современностью. Создательница контента, которая делает видео с 2011 года и называет себя "lo-fi социальным комментатором",...
Cohen 2

Искусственный интеллект смог побить легендарный рекорд Trackmania после двух лет господства

Ютубер Yosh совершил настоящий прорыв в мире Trackmania, применив искусственный интеллект для преодоления рекорда. На протяжении двух лет время 23.79 секунды на трассе A01 – самом первом уровне Trackmania, казалось недосягаемым для любого игрока. Рекорд,...
CryptoNick 2

Трамп обвинил ИИ в создании видео про загадочные предметы, выбрасываемые из Белого Дома

Необычное видео, предположительно снятое у Белого дома, вызвало настоящую бурю обсуждений в сети в минувшие выходные. На кадрах видно, как из окна резиденции президента США выбрасывают крупные предметы, что спровоцировало волну спекуляций и теорий среди...
Cohen 15

Nvidia признала отсутствие здравого смысла у ИИ и привлекла людей для решения проблемы

Nvidia открыто заявила, что моделям искусственного интеллекта в целом не хватает "здравого смысла". Хотя это едва ли станет откровением для тех, кто следит за развитием технологий – любой разумный человек понимает, что клей не стоит...
Cohen 1

Разработчик превратил ASCII-рогалик в игру с ИИ-рендерингом в реальном времени

Программист Джефф Шомай представил экспериментальную технологию преобразования классической ASCII-графики в полноценную визуализацию с помощью искусственного интеллекта. В качестве подопытного образца выступила его собственная игра Thunder Lizard – рогалик в олдскульном стиле про выживание динозавров в...
Cohen 8

Энтузиаст создал эпическое путешествие по Средиземью из "Властелина колец" с помощью ИИ-инструмента Nano Banana

Креативный ИИ-энтузиаст TechHalla продемонстрировал впечатляющие возможности нового инструмента от Google, создав уникальное видео-путешествие по культовым локациям из произведений Толкиена. Используя модель Nano Banana (кодовое название для Gemini 2.5 Flash Image от Google), умелец воссоздал места...
Cohen 13

Как через 200 лет будет выглядеть экономика без денег – на энергии, репутации или времени

Недавняя дискуссия о том, что искусственный интеллект может обеспечить универсальный базовый доход в $10,000 ежемесячно для каждого человека, заставляет задуматься о более фундаментальных изменениях в экономике будущего. Бывший исследователь OpenAI Майлз Брандидж предполагает, что развитие...
Cohen 3

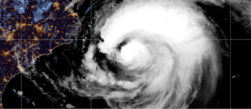
Искусственный интеллект Google добился точного прогноза по мощному урагану

Пока генеративные ИИ-инструменты в основном создают относительно бесполезный контент и привлекают внимание скандалами, иногда появляются действительно полезные применения данных технологий. Google DeepMind разработала экспериментальную модель для прогнозирования циклонов, которая в начале этого месяца успешно справилась...
Cohen 11

Тиктокер завел себе VR ИИ-компаньона и показал антиутопическое будущее человечества

Пользователь TikTok Мак Фалконер неожиданно привлек огромное внимание благодаря видео со своим ИИ-компаньоном по имени Мервин, который демонстрирует крайне эксцентричное поведение в виртуальной реальности. Но, что самое жуткое, при этом не самое очевидное для многих...
Cohen 17

Аниматоров Sekiro No Defeat ошибочно обвинили в использовании ИИ

Первый трейлер аниме-адаптации популярной игры Sekiro: Shadows Die Twice под названием Sekiro: No Defeat вызвал волну обвинений в использовании искусственного интеллекта для создания анимации. Зрители заметили подозрительные детали уже в дебютном ролике. Вскоре после релиза...
Cohen 1

Бывший глава PlayStation сравнил влияние ИИ на игры с появлением Excel у бухгалтеров

Шон Лейден – бывший руководитель PlayStation, считает, что влияние генеративного искусственного интеллекта на игровую индустрию сильно переоценивается. По его мнению, новая технология не приведет к массовому снижению затрат, на которое рассчитывают многие руководители компаний. Создатель...
Cohen 15

Джеймс Кэмерон верит в апокалипсис в стиле "Терминатора" и называет ИИ одной из трех угроз человечеству

Режиссер "Терминатора" Джеймс Кэмерон считает, что жизнь может начать имитировать искусство раньше, чем мы думаем, и искусственный интеллект – одна из наших самых больших "экзистенциальных угроз". Кэмерон сказал в новом интервью Rolling Stone: Я действительно...
Cohen 3

Google DeepMind научила Genie 3 менять миры в реальном времени

Google DeepMind представила новую версию своей системы мировых моделей – Genie 3. В отличие от обычных генеративных моделей, семейство Genie создает интерактивные миры, которыми могут управлять как люди, так и автоматизированные ИИ-агенты. И хотя результат...